Huracán Melissa alcanza categoría 4 y se dirige hacia Jamaica y el oriente de Cuba.

Foto tomada de facebook
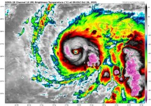
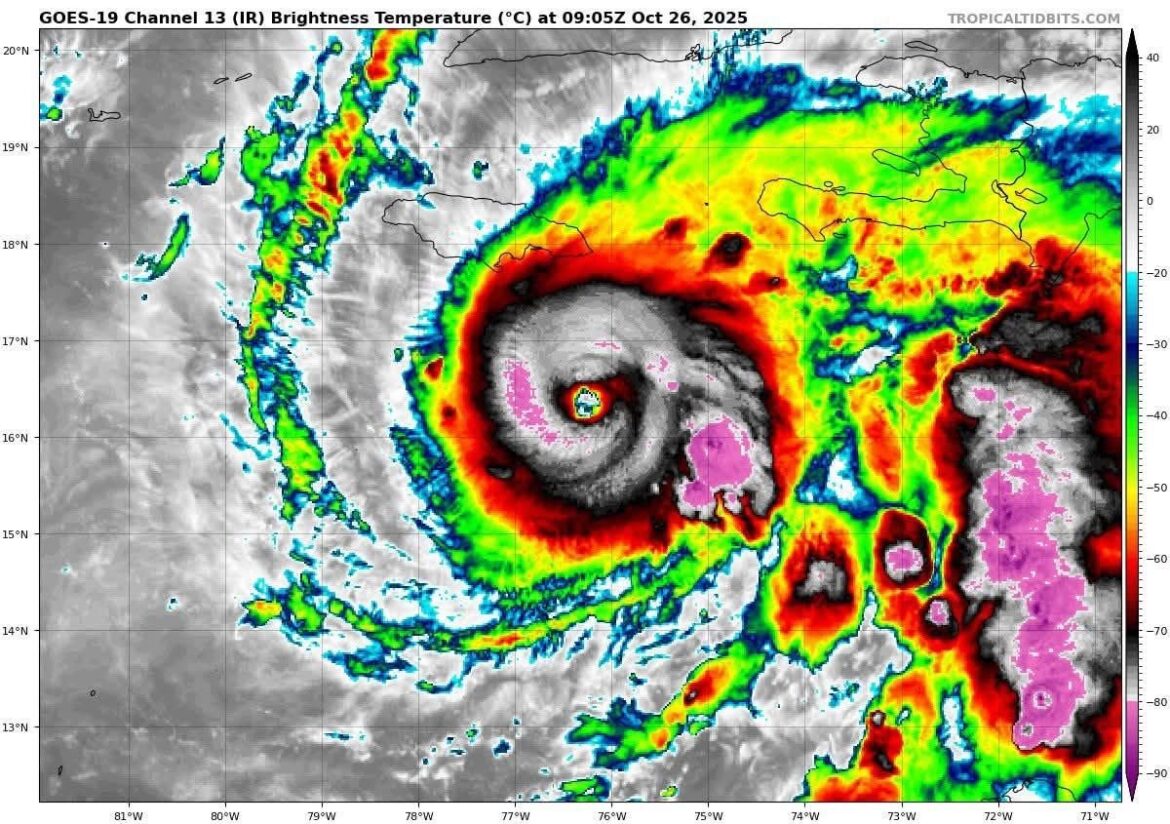
El huracán Melissa continúa fortaleciéndose en aguas del Caribe y alcanzó la categoría 4 en la escala Saffir-Simpson, según el más reciente parte del Centro Nacional de Huracanes (NHC) de Estados Unidos emitido a las 5:00 a.m. (hora de Cuba) de este domingo 26 de octubre.
Así lo confirma el Instituto de Meteorología de Cuba en su parte meteorológico emitido a las 6 de la mañana de hoy.
Con vientos máximos sostenidos de 220 kilómetros por hora (140 mph), el fenómeno meteorológico se convierte en uno de los más poderosos de la actual temporada ciclónica en el Atlántico.
Huracán Melissa alcanza categoría 4 y se dirige hacia Jamaica y el oriente de Cuba

Foto de Facebook
Posición actual del huracán Melissa
De acuerdo con el informe del NHC, el centro del huracán Melissa se localiza en la latitud 16.3 Norte y longitud 76.3 Oeste, es decir, a unos 195 kilómetros al sureste de Kingston, Jamaica y aproximadamente a 450 kilómetros al suroeste de Guantánamo, Cuba.
El sistema se desplaza lentamente hacia el oeste a una velocidad de 7 km/h, aunque los expertos prevén un giro hacia el norte y noreste entre el lunes y el martes, lo que podría modificar su trayectoria e influir en las zonas que se verán más afectadas.
Jamaica y Cuba en el posible camino del ciclón
En su recorrido pronosticado, el huracán Melissa podría impactar directamente Jamaica entre el lunes y el martes, con lluvias torrenciales, marejadas e intensas ráfagas de viento.
Posteriormente, se espera que el oriente cubano enfrente los efectos del ciclón entre la noche del martes y la madrugada del miércoles, manteniendo gran intensidad** durante su paso por el Caribe occidental.
Autoridades en alerta ante el avance del huracán
Los servicios meteorológicos de Jamaica y Cuba se mantienen en constante vigilancia ante la amenaza que representa el poderoso huracán.
Se recomienda a la población seguir las actualizaciones oficiales, preparar suministros básicos y mantenerse informada sobre posibles evacuaciones.
El huracán Melissa categoría 4 es un recordatorio del poder destructivo de la naturaleza y la importancia de la prevención y la preparación ante fenómenos de gran magnitud.
En las próximas horas, los reportes del NHC y de los institutos meteorológicos locales serán esenciales para conocer la evolución y trayectoria de este peligroso sistema tropical.
